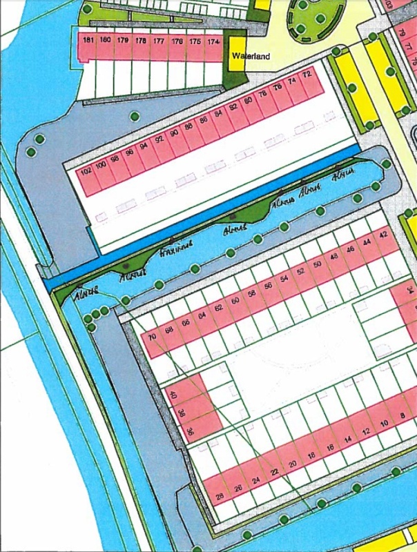
Langs het Drielandenpad worden de komende jaren veel bomen gepakt; zie het bericht Bomen kappen aan het Drielandenpad. De bomen die na het onderhoud blijven staan en de te knotten wilgen, staan op onderstaande tekeningen.
Langs het Drielandenpad worden de komende jaren veel bomen gepakt; zie het bericht Bomen kappen aan het Drielandenpad. De bomen die na het onderhoud blijven staan en de te knotten wilgen, staan op onderstaande tekeningen.